$55,000

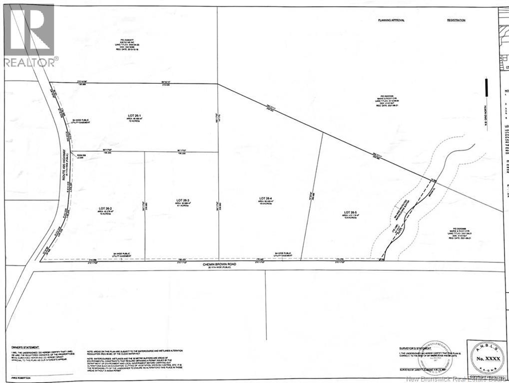
Lot 26-5 Brown Rd
South Branch, New Brunswick E4w3l3
MLS® Number: NB134584

LOT 26-5 Brown Road, South Branch Approximately 12.6 acres of beautiful rural land offering privacy and natural charm. This property features over 550 feet of road frontage and a lovely brook flowing along the right side of the lot, creating a peaceful setting with plenty of character. The land is nicely treed with a great mix of mature trees, making it ideal for a future home, hobby farm, or recreational retreat. The lot will be subdivided on or before closing at the vendors expense as per the survey plan provided. Property assessments and tax amounts will be assigned once the subdivision is completed. Power is available at the road, and additional lots are available for those looking for more space. Located on Brown Road across from civic number 2540 Route 495 in South Branch, this quiet country location is approximately one hour from both Moncton and Miramichi and just a short drive to Rexton and Bouctouche for amenities, beaches, and services. (id:34572)


Loading, please wait...

Property Summary

  • Bedrooms N/A
  • Bathrooms N/A
  • Architectural Style N/A
  • Property Type Vacant Land
  • Square Footage N/A
  • Total Finished Area N/A
  • Built In N/A
  • Exterior Finish N/A
  • Heating
  • Title N/A
  • Rental Equipment N/A
  • Basement Type N/A
  • Parking Type Garage
  • Features N/A
  • Flooring N/A
  • Type N/A

Land Properties

  • Lot Size 12.7 ac
  • Access Type N/A
  • Water None
  • Features N/A
  • Sewer No sewage system

Property Map