$50,000

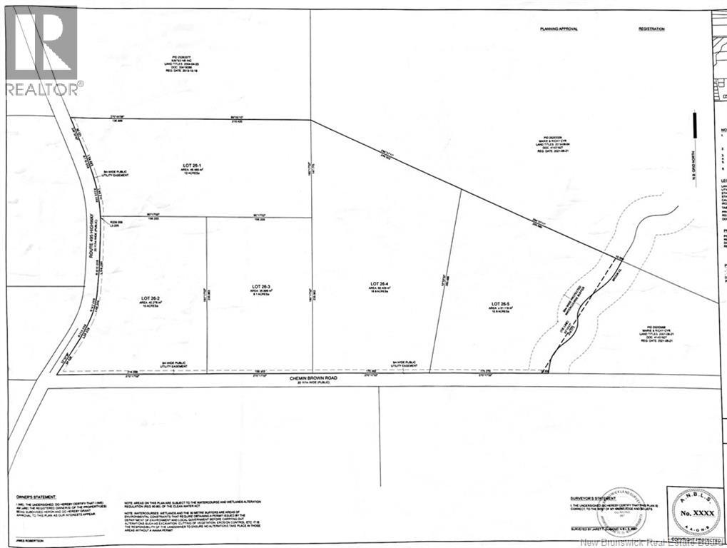
Lot 26-4 Brown Road
South Branch, New Brunswick E4w3l3
MLS® Number: NB134583

LOT 26-4 Brown Road, South Branch Approximately 16.9 acres of beautiful rural land offering privacy, space, and natural surroundings. This property features a great mix of mature trees and approximately 575 feet of road frontage, making it an excellent opportunity for a future home, hobby farm, or recreational property. The lot will be subdivided on or before closing at the vendors expense as per the survey plan provided. Property assessments and tax amounts will be assigned once the subdivision is completed. Power is available at the road, and additional land is available for those looking to expand. Conveniently located on Brown Road across from civic number 2540 Route 495 in South Branch, this peaceful country setting is about an hour from Moncton and Miramichi, and within easy driving distance to Rexton and Bouctouche for everyday amenities, restaurants, and beautiful beaches. (id:34572)


Loading, please wait...

Property Summary

  • Bedrooms N/A
  • Bathrooms N/A
  • Architectural Style N/A
  • Property Type Vacant Land
  • Square Footage N/A
  • Total Finished Area N/A
  • Built In N/A
  • Exterior Finish N/A
  • Heating
  • Title N/A
  • Rental Equipment N/A
  • Basement Type N/A
  • Parking Type Garage
  • Features N/A
  • Flooring N/A
  • Type N/A

Land Properties

  • Lot Size 14.6 ac
  • Access Type N/A
  • Water None
  • Features N/A
  • Sewer No sewage system

Property Map