$49,000

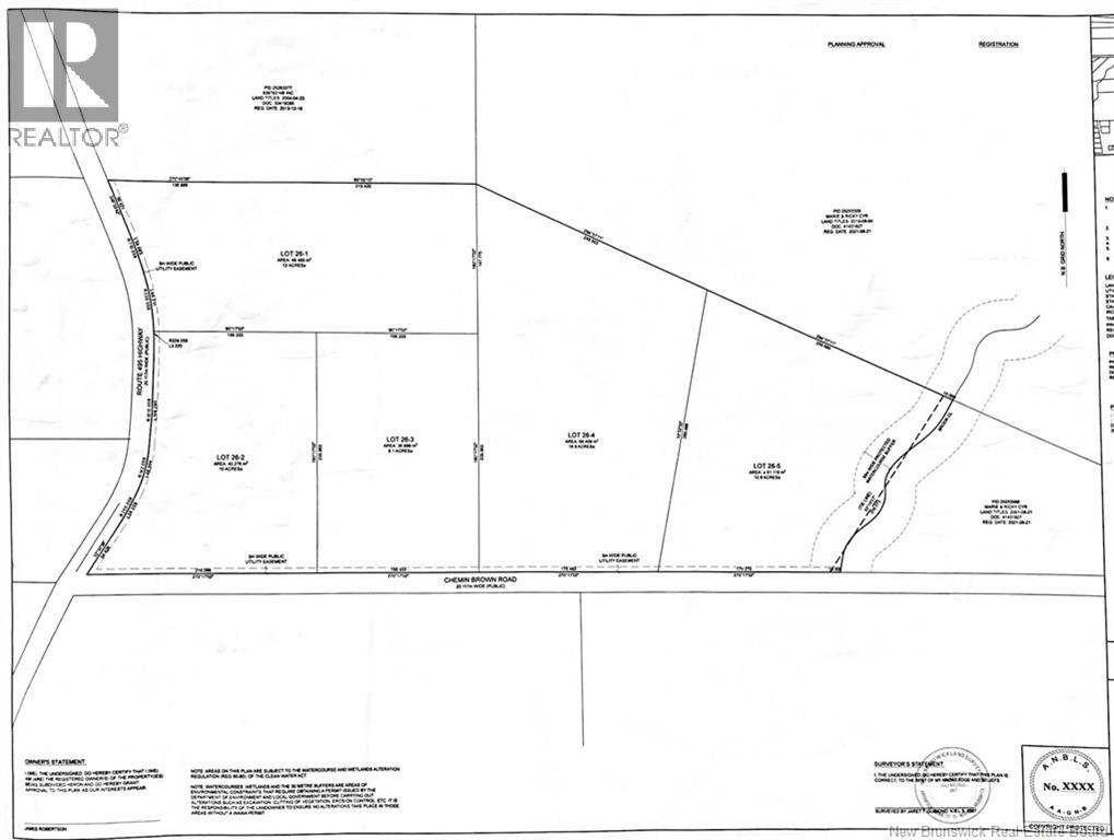
Lot 26-1 Route 495
South Branch, New Brunswick E4w3l3
MLS® Number: NB134541

LOT 26-1 Route 495, South Branch Beautiful partially cleared and partially treed lot offering excellent potential for your future plans. With plenty of road frontage, this property would make an ideal location for a hobby farm, country home, or peaceful getaway. The lot will be subdivided on or before closing at the vendors expense as per the survey plan provided. Assessments and property tax amounts will be assigned once the subdivision is completed. Conveniently located across from civic number 2540 Route 495. Enjoy the quiet country setting while still being within reasonable driving distance to nearby communities. Approximately one hour to both Moncton and Miramichi, and just a short drive to Rexton and Bouctouche for everyday amenities, beaches, and services. A great opportunity to secure a spacious rural lot in a beautiful area of South Branch. (id:34572)


Loading, please wait...

Property Summary

  • Bedrooms N/A
  • Bathrooms N/A
  • Architectural Style N/A
  • Property Type Vacant Land
  • Square Footage N/A
  • Total Finished Area N/A
  • Built In N/A
  • Exterior Finish N/A
  • Heating
  • Title N/A
  • Rental Equipment N/A
  • Basement Type N/A
  • Parking Type Garage
  • Features N/A
  • Flooring N/A
  • Type N/A

Land Properties

  • Lot Size 11.3 ac
  • Access Type N/A
  • Water None
  • Features N/A
  • Sewer No sewage system

Property Map