$29,900

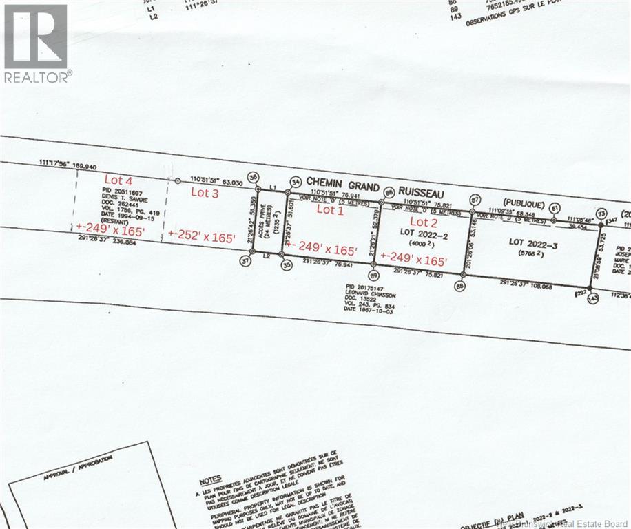
4,000 Mc Chemin Grand Ruisseau
Pigeon Hill, New Brunswick E8t1v7
MLS® Number: NB133387

Located in a quiet village, this is a beautiful place to build your dream home. Not far from the sea, this land is a must-see. The lot is wooded, providing you with a private location in Pigeon Hill. You can go fishing or simply enjoy the nearby beach. The lot will be surveyed at the seller's expense upon completion of the purchase. The property assessment and property tax amount are for the entire lot. This amount will be adjusted after the sale of a lot. Situé dans un village tranquille, c'est un bel endroit pour y construire votre maison de rêve. Non loin de la Mer, ce terrain est à saisir. Le lot est boisé, pouvant vous procurer un lieu privé à Pigeon Hill. Vous pouvez y pratiquer la pêche ou simplement profiter de la plage à proximité. Le lot sera arpenté au frais du vendeur lors de la finalisation de l'achat. L'évaluation foncière et le montant des taxes foncières sont ceux du lot au complet. Ce montant sera ajusté après la vente d'un lot. (id:34572)


Loading, please wait...

Property Summary

  • Bedrooms N/A
  • Bathrooms N/A
  • Architectural Style N/A
  • Property Type Vacant Land
  • Square Footage N/A
  • Total Finished Area N/A
  • Built In N/A
  • Exterior Finish N/A
  • Heating
  • Title N/A
  • Rental Equipment N/A
  • Basement Type N/A
  • Parking Type Garage
  • Features N/A
  • Flooring N/A
  • Type N/A

Land Properties

  • Lot Size 4000 m2
  • Access Type Year-round access, Public Road
  • Water None
  • Features N/A
  • Sewer No sewage system

Property Map